Mundo
Furacão Melissa avança em direção à Jamaica com ventos superiores a 280 quilómetros por hora
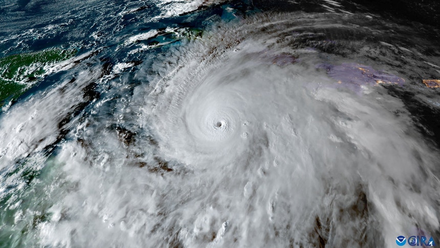
O furacão Melissa está localizado a aproximadamente 215 quilómetros a sudeste de Kingston, capital da Jamaica, com ventos superiores a 280 quilómetros por hora, segundo o último relatório do Centro Nacional de Furacões dos EUA (NHC).
Na sua trajetória prevista, o centro do Melissa irá impactar diretamente a Jamaica hoje, com ventos catastróficos, inundações e marés de tempestade, segundo o NHC.
O furacão vai deslocar-se pelo sudoeste de Cuba na manhã de quarta-feira e continuará em direção ao sul e centro das Bahamas.
Os ventos máximos sustentados do Melissa estão atualmente a atingir os 280 quilómetros por hora (km/h) com rajadas ainda mais fortes, continuando a ser um grande furacão de categoria 5 na escala Saffir-Simpson.
Embora sejam esperadas flutuações de intensidade, o NHC insiste que o "ciclone atingirá o continente com uma força devastadora, capaz de causar danos estruturais completos em áreas expostas e elevadas".
O Aeroporto Internacional Norman Manley, em Kingston, registou hoje ventos de 65 km/h e rajadas de 83 km/h.
Segundo o NHC, além do vento, as chuvas causadas pelo furacão serão torrenciais, o que poderá causar inundações repentinas "potencialmente catastróficas" e deslizamentos de terra em grande escala.
Além disso, o NHC indicou que há um alerta vigente de furacão para o sudeste e o centro das Bahamas, assim como para as ilhas Turcas e Caicos.
O furacão vai deslocar-se pelo sudoeste de Cuba na manhã de quarta-feira e continuará em direção ao sul e centro das Bahamas.
Os ventos máximos sustentados do Melissa estão atualmente a atingir os 280 quilómetros por hora (km/h) com rajadas ainda mais fortes, continuando a ser um grande furacão de categoria 5 na escala Saffir-Simpson.
Embora sejam esperadas flutuações de intensidade, o NHC insiste que o "ciclone atingirá o continente com uma força devastadora, capaz de causar danos estruturais completos em áreas expostas e elevadas".
O Aeroporto Internacional Norman Manley, em Kingston, registou hoje ventos de 65 km/h e rajadas de 83 km/h.
Segundo o NHC, além do vento, as chuvas causadas pelo furacão serão torrenciais, o que poderá causar inundações repentinas "potencialmente catastróficas" e deslizamentos de terra em grande escala.
Além disso, o NHC indicou que há um alerta vigente de furacão para o sudeste e o centro das Bahamas, assim como para as ilhas Turcas e Caicos.