País
Lorenzo. Furacão deve atingir Açores com força de categoria 1
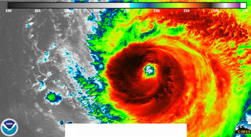
O furacão Lorenzo - atualmente na categoria 2 - continua o percurso pelo Oceano Atlântico e deve passar a oeste da ilha das Flores, na quarta-feira, já como uma tempestade de categoria 1. Deve afetar todo o arquipélago dos Açores. A escala de Saffir-Simpson mede a intensidade dos furacões entre os níveis 1 e 5, sendo 5 o nível mais intenso.
O IPMA prevê que o furacão Lorenzo seja sentido em todo o arquipélago dos Açores, embora com maior intensidade no grupo Ocidental, que compreende as ilhas das Flores e do Corvo.
As ilhas do Faial, Pico, São Jorge, Terceira e Graciosa estão sob aviso amarelo a partir das 21:00 de terça-feira, passando a laranja a partir das 00:00 de quarta-feira, e a vermelho entre as 03:00 e as 12:00, devido ao vento, e entre as 06:00 e as 15:00, por causa da agitação marítima.
Para o grupo Ocidental, de acordo com o IPMA, é esperado "vento sueste rodando para noroeste com rajadas na ordem dos 190 quilómetros por hora (com uma probabilidade de 40% de a rajada máxima ser superior a 200 quilómetros por hora), chuva por vezes forte e ondas de sul, passando a sudoeste com altura significativa entre 10 a 15 metros, podendo a altura máxima de onda atingir os 25 metros".
Para este grupo, vigora aviso amarelo a partir das 18:00 (mais uma hora em Lisboa) de terça-feira, que passa a laranja às 21:00, tendo sido emitido aviso vermelho entre as 00:00 e as 12:00 de quarta-feira, referente a vento e agitação marítima.
Já no grupo Central é esperado "vento sudoeste com rajadas até 150 quilómetros por hora e ondas de sudoeste, passando a oeste, com altura significativa entre nove a 12 metros, podendo a altura máxima de onda atingir os 22 metros".
As ilhas do Faial, Pico, São Jorge, Terceira e Graciosa estão sob aviso amarelo a partir das 21:00 de terça-feira, passando a laranja a partir das 00:00 de quarta-feira, e a vermelho entre as 03:00 e as 12:00, devido ao vento, e entre as 06:00 e as 15:00, por causa da agitação marítima.
No grupo Oriental - São Miguel e Santa Maria - a previsão é de vento com rajadas da ordem dos 85 quilómetros por hora, com ondulação de oeste, que poderá atingir sete a oito metros.
Para estas ilhas, foi emitido aviso amarelo a partir das 09:00 de quarta-feira, que passa a laranja entre as 12:00 e as 18:00, devido à forte ondulação.
Açorianos preparam-se para a tempestade
Pode não ser tão grave como se pensava, mas os açorianos não querem facilitar face à chegada do furacão. A jornalista da Antena 1 Eduarda Mendes tentou perceber como é que os açorianos estão a preparar-se para a chegada do Lorenzo.
C/ Lusa