Mundo
Mais de um milhão de pessoas em fuga à aproximação do Irma
Há a lamentar quase 20 mortos nas ilhas das Caraíbas afetadas pelo furacão. A tempestade chegou à ilha de Inagua, nas Bahamas já a dar sinais de estar a perder força, apesar de se manter no grau 5. O Centro norte-americano de furações degradou entretanto o grau do furacão para 4.
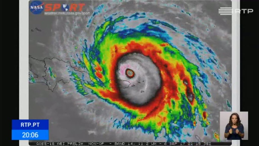
Nas paredes do olho do furacão, onde têm maior intensidade, os ventos sopravam há três horas a 260 quilómetros por hora em vez dos 300 registados nos últimos dias informou o Centro norte-americano de furacões.
Às 02:00 hora locais (07:00 em Lisboa) o olho do furacão passou a 30 quilómetros a norte da ilha Grande Inagua - que tem um milhar de habitantes -- a uma velocidade de 26 quilómetros por hora em direção norte-noroeste.
Pelas 10h20, hora portuguesa, a tempestade passou a ventos sustentados de cerca de 150 quilómetros hora, pelo que a sua qualificação foi revista para grau 4.
Ao longo da manhã, o Irma vai prosseguir para sudeste das Bahamas e ameaçar depois a costa norte de Cuba e o resto das Bahamas até sábado.
Em Cuba foi declarado o alerta máximo e cerca de 10 mil turistas foram retirados de hotéis e residências nas zonas costeiras mais expostas. Mais de 700 mil pessoas deixaram as suas casas.
O Governo garante que os portugueses estão em segurança.
Outras 19 mil pessoas na República Dominicana tiveram de deixar tudo para trás, com a ilha a ser afetada por ventos de 285 quilómetros hora e muita chuva.
O furacão deverá chegar à Florida, nos EUA, no domingo. Foi dada ordem de evacuação obrigatória para as zonas costeiras da Florida e no Estado da Georgia, que abrangem cerca de um milhão de pessoas.
São ainda esperadas subidas de maré que podem chegar aos oito metros e existe o perigo de que a chuva faça transbordar o dique Herbert Hoover devido ao aumento do nível do lago Okeechobee.
Sete cidades a sul do lago foram evacuadas, depois de as autoridades federais estimarem que "haverá impactos adicionais do vento excessivo, que empurra um pouco de água sobre o dique", indicou um comunicado do seu gabinete.
As ordens de evacuação para o sul e centro da Florida incluem Miami-Dade e Palm Beach, onde fica Mar-a-Lago, a residência de verão do Presidente dos Estados Unidos, Donald Trump.
"Se estão nas zonas de evacuação, saiam", pediu o governador da Florida (sudeste) Rick Scott.
"Dizemos a toda a gente: abandonem a Praia de Miami. Nunca pensei vir a dizer isto mas digo-o hoje", preveniu por seu lado o presidente de Miami Beach, Philip Levine, na cadeia Fox News.
Como uma "bomba atómica"
No mais recente balanço de vítimas em Saint Martin e em Saint Barthélémy, foram indicados nove mortos, sete desaparecidos e 112 feridos, referiu cerca das 12h00 em Portugal o ministro do Interior de França. Anteriormente o número de mortos tinha sido revisto em baixa de oito para quatro no território francês.
Estão ainda confirmados dois mortos na ilha de Barbuda, quatro nas Ilhas Virgens americanas, e outros dois em Porto Rico.
Neste território norte-americano cerca de três milhões de habitantes estão sem eletricidade. Os refúgios abertos acolhem já 62 mil pessoas.
No Haiti, o Irma levou telhados e fez pelo menos dois feridos. Até agora não há notícia de mortos. Há contudo avisos devido à subida das águas no nordeste da ilha que poderão provocar inundações consideráveis.
Nas outras ilhas afetadas pelo furacão quarta-feira, o cenário é de desolação. Em Saint Martin tudo parece "ter sido soprado" por uma "bomba atómica", afirmou um habitante da ilha francófona na cadeia Franceinfo. Mais de 60 por cento das casas ficaram inhabitáveis.
As ilhas de Barbuda, Anguilla e Saint Martin foram arrasadas. Um português, João Amado, enviou à RTP um conjunto de fotos que documentam o grau de destruição.
Outros portugueses, presentes nas ilhas, contam o que presenciaram à passagem do Irma.
Cerca de 1,2 milhões de pessoas já foram afetadas pelo Irma, um número que poderá subir aos 26 milhões, estimou entretanto a Cruz Vermelha.
Só nas Antilhas francesas os estragos ascendem a 200 milhões de euros.
O Irma gerou ventos de cerca de 295 quilómetros hora durante mais de 33 horas, batendo o recorde do supertufão Hayan, que soprou sobre as Filipinas em 2013 com os mesmos ventos mas durante 24 horas.
"Uma tal intensidade durante tanto tempo, nunca tal foi visto no mundo desde o início da era dos satélites" há cerca de cinquenta anos, sublinharam os serviços franceses de meteorologia.
Gaston Brown, primeiro ministro de Antigua-Barbuda, ium território independente, diz que o país foi "totalmente devastado". O furacão deverá convencer "aqueles que não acreditam nas alterações climáticas", considerou.
Um furacão necessita de certas condições climatéricas para se desenvolver.
José e Katia, as novas ameaças
Três furacões estão a progredir em simultâneo no Atlântico, depois das tempestades José e Katia passarem a esta categoria, juntando-se assim ao Irma.
O furacão José, que se encontra no Atlântico a 950 quilómetros a este das Antilhas Pequenas, evoluiu para a categoria 3, com ventos de 195 km/h, indicou o NHC.
O furacão -- que em poucas horas passou de uma categoria 1 a uma categoria 3 -- avança a 30 quilómetros por hora numa direção oeste-noroeste, precisou o NHC.
Do outro lado do Golfo do México, 300 quilómetros a nordeste da cidade mexicana de Veracruz, está o furacão Katia, com ventos de 120 quilómetros horários, que devem aumentar nas próximas 48 horas.
Este furacão está a deslocar-se lentamente, a seis quilómetros por hora, para o sudeste, e a sua trajetória deve manter-se nas próximas horas.
Segundo o NHC, o governo do México decretou uma "vigilância furacão" para uma parte do litoral no Estado de Veracruz, entre Tuxpan e Laguna Verde. Esta medida significa que os ventos do furacão devem chegar à zona em questão em 48 horas.
Às 02:00 hora locais (07:00 em Lisboa) o olho do furacão passou a 30 quilómetros a norte da ilha Grande Inagua - que tem um milhar de habitantes -- a uma velocidade de 26 quilómetros por hora em direção norte-noroeste.
Pelas 10h20, hora portuguesa, a tempestade passou a ventos sustentados de cerca de 150 quilómetros hora, pelo que a sua qualificação foi revista para grau 4.
Ao longo da manhã, o Irma vai prosseguir para sudeste das Bahamas e ameaçar depois a costa norte de Cuba e o resto das Bahamas até sábado.
Em Cuba foi declarado o alerta máximo e cerca de 10 mil turistas foram retirados de hotéis e residências nas zonas costeiras mais expostas. Mais de 700 mil pessoas deixaram as suas casas.
O Governo garante que os portugueses estão em segurança.
Outras 19 mil pessoas na República Dominicana tiveram de deixar tudo para trás, com a ilha a ser afetada por ventos de 285 quilómetros hora e muita chuva.
O furacão deverá chegar à Florida, nos EUA, no domingo. Foi dada ordem de evacuação obrigatória para as zonas costeiras da Florida e no Estado da Georgia, que abrangem cerca de um milhão de pessoas.
São ainda esperadas subidas de maré que podem chegar aos oito metros e existe o perigo de que a chuva faça transbordar o dique Herbert Hoover devido ao aumento do nível do lago Okeechobee.
Sete cidades a sul do lago foram evacuadas, depois de as autoridades federais estimarem que "haverá impactos adicionais do vento excessivo, que empurra um pouco de água sobre o dique", indicou um comunicado do seu gabinete.
As ordens de evacuação para o sul e centro da Florida incluem Miami-Dade e Palm Beach, onde fica Mar-a-Lago, a residência de verão do Presidente dos Estados Unidos, Donald Trump.
"Se estão nas zonas de evacuação, saiam", pediu o governador da Florida (sudeste) Rick Scott.
"Dizemos a toda a gente: abandonem a Praia de Miami. Nunca pensei vir a dizer isto mas digo-o hoje", preveniu por seu lado o presidente de Miami Beach, Philip Levine, na cadeia Fox News.
Como uma "bomba atómica"
No mais recente balanço de vítimas em Saint Martin e em Saint Barthélémy, foram indicados nove mortos, sete desaparecidos e 112 feridos, referiu cerca das 12h00 em Portugal o ministro do Interior de França. Anteriormente o número de mortos tinha sido revisto em baixa de oito para quatro no território francês.
Estão ainda confirmados dois mortos na ilha de Barbuda, quatro nas Ilhas Virgens americanas, e outros dois em Porto Rico.
Neste território norte-americano cerca de três milhões de habitantes estão sem eletricidade. Os refúgios abertos acolhem já 62 mil pessoas.
No Haiti, o Irma levou telhados e fez pelo menos dois feridos. Até agora não há notícia de mortos. Há contudo avisos devido à subida das águas no nordeste da ilha que poderão provocar inundações consideráveis.
Nas outras ilhas afetadas pelo furacão quarta-feira, o cenário é de desolação. Em Saint Martin tudo parece "ter sido soprado" por uma "bomba atómica", afirmou um habitante da ilha francófona na cadeia Franceinfo. Mais de 60 por cento das casas ficaram inhabitáveis.
As ilhas de Barbuda, Anguilla e Saint Martin foram arrasadas. Um português, João Amado, enviou à RTP um conjunto de fotos que documentam o grau de destruição.
Cerca de 1,2 milhões de pessoas já foram afetadas pelo Irma, um número que poderá subir aos 26 milhões, estimou entretanto a Cruz Vermelha.
Só nas Antilhas francesas os estragos ascendem a 200 milhões de euros.
O Irma gerou ventos de cerca de 295 quilómetros hora durante mais de 33 horas, batendo o recorde do supertufão Hayan, que soprou sobre as Filipinas em 2013 com os mesmos ventos mas durante 24 horas.
"Uma tal intensidade durante tanto tempo, nunca tal foi visto no mundo desde o início da era dos satélites" há cerca de cinquenta anos, sublinharam os serviços franceses de meteorologia.
Gaston Brown, primeiro ministro de Antigua-Barbuda, ium território independente, diz que o país foi "totalmente devastado". O furacão deverá convencer "aqueles que não acreditam nas alterações climáticas", considerou.
Um furacão necessita de certas condições climatéricas para se desenvolver.
José e Katia, as novas ameaças
Três furacões estão a progredir em simultâneo no Atlântico, depois das tempestades José e Katia passarem a esta categoria, juntando-se assim ao Irma.
O furacão José, que se encontra no Atlântico a 950 quilómetros a este das Antilhas Pequenas, evoluiu para a categoria 3, com ventos de 195 km/h, indicou o NHC.
O furacão -- que em poucas horas passou de uma categoria 1 a uma categoria 3 -- avança a 30 quilómetros por hora numa direção oeste-noroeste, precisou o NHC.
Do outro lado do Golfo do México, 300 quilómetros a nordeste da cidade mexicana de Veracruz, está o furacão Katia, com ventos de 120 quilómetros horários, que devem aumentar nas próximas 48 horas.
Este furacão está a deslocar-se lentamente, a seis quilómetros por hora, para o sudeste, e a sua trajetória deve manter-se nas próximas horas.
Segundo o NHC, o governo do México decretou uma "vigilância furacão" para uma parte do litoral no Estado de Veracruz, entre Tuxpan e Laguna Verde. Esta medida significa que os ventos do furacão devem chegar à zona em questão em 48 horas.